LIVE MAP: Track the path of Hurricane Melissa
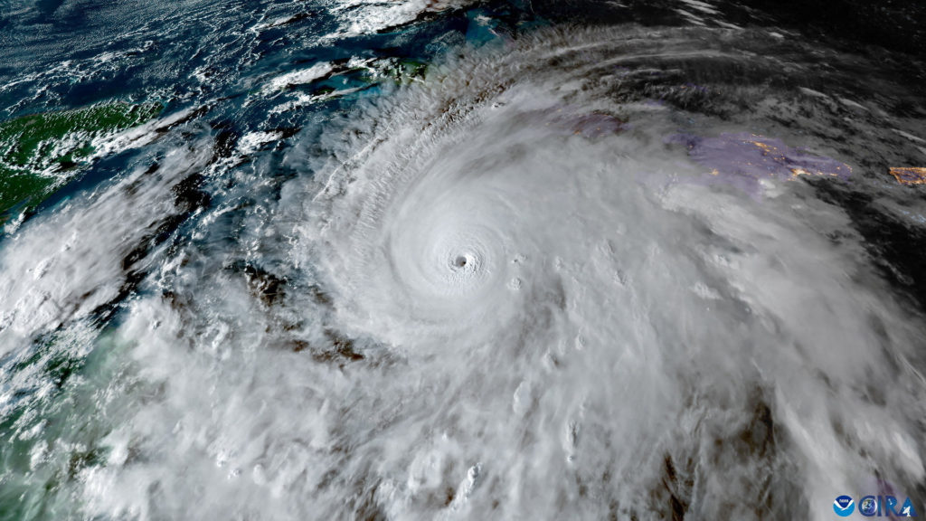
Hurricane Melissa, an intense Category 5 storm, brought violent winds and heavy rainfall to Jamaica after making landfall Tuesday and continues to threaten parts of the Caribbean as it tracks through. Melissa was then forecast to cross Cuba and the Bahamas through Wednesday.
Here is what to know about the storm.
A record storm for Jamaica
Melissa was a Category 5 hurricane, the highest level, when it made landfall Tuesday in Jamaica. It was the strongest to hit the island since recordkeeping began 174 years ago. Melissa caused power outages, fallen trees, landslides, and heavy flooding and tore off roofs in Jamaica.
The U.S. National Hurricane Center warned the situation is “extremely dangerous” and urged Jamaican residents to remain sheltered until the life-threatening conditions pass.
WATCH: Hurricane Melissa nears landfall in Jamaica as Cat. 5: ‘This will be unprecedented’
Hurricane Melissa’s 185 mph (295 kph) winds and 892 millibars of central pressure tied two records for the strongest Atlantic storm on landfall. The pressure — the key measurement meteorologists use — ties 1935’s Labor Day hurricane in Florida. The wind speed ties a 1935 hurricane and 2019’s Hurricane Dorian, said hurricane scientists Phil Klotzbach of Colorado State University and Brian McNoldy of the University of Miami.
U.N. agencies and dozens of nonprofits had food, medicine and other essential supplies prepositioned as they awaited a distribution rush after the storm.
Other Caribbean nations at risk
The NHC warned that catastrophic flash flooding and landslides also are possible in Cuba and Hispaniola, the island which Haiti and the Dominican Republic share.
Cuban officials said they were evacuating more than 600,000 people from the region, including Santiago, the island’s second-largest city.
People take their belongings to shelters ahead of Hurricane Melissa’s landfall in Caleta Blanca, Cuba, Oct. 28, 2025. Photo by Alexandre Meneghini/ Reuters
The NHC warned of 5 to 10 inches (13 to 26 centimeters) of rainfall with the potential for flash flooding in the southeastern Bahamas and the Turks and Caicos on Tuesday and Wednesday. Additional rainfall is expected in southern Hispaniola through Wednesday.
Rapid strengthening linked to climate change
Melissa reached tropical storm status last Tuesday and then became a hurricane on Saturday. Melissa then rapidly intensified into a Category 5 hurricane early Monday morning.
Climate scientists have linked warming ocean temperatures to hurricanes intensifying more quickly. Abnormally warm ocean waters of about 2 to 3 degrees Celsius (3.6 to 5.4 degrees Fahrenheit) above normal helped double Hurricane Melissa’s wind speed in less than 24 hours, scientists said.
READ MORE: How climate change is fueling Hurricane Melissa’s ferocity
Rapid intensification occurs when the maximum sustained winds of a tropical cyclone increase by at least 30 knots or 35 mph (56 kph). Warmer temperatures also give hurricanes fuel to unleash more rain.
Scientists said Melissa is the fourth storm in the Atlantic this year to undergo rapid intensification.
Storms that ramp up so quickly complicate forecasting and make it harder for government agencies and nonprofits to plan for emergencies.



